photo stacking
Nu am mai scris nimic pe aici de ceva vreme… foarte mult pe drumuri… lucru și iar lucru.
De ceva zile tot fac teste pentru o tehnică nouă de fotografie – photo stacking. Mai exact mai multe fotografii de la distanțe diferite si din fiecare se păstrează doar partea care este în focus (face programul asta, deși se poate face și manual… dar consumă extrem de mult timp… știu din experiență).
Setup folosit >>>> Canon 7d, Canon 70-200 f4 (al Gabrielei ca eu nu mai am nimic), inele, telecomanda (tot a Gabrielei), trei lumini și trepied. O fotografie cu setup-ul nu pun ca sa nu se aibă motive de râs.
Și binențeles că mai este nevoie de un software mai specializat ca să nu lucrez prea mult… totuși cam pentru fiecare fotografie lucrez circa 1 oră. Ca să mă întorcla software… după ceva teste sunt foarte mulțumit de Zerene Stacker pe moment ca și trial… mă gândesc serios să mi-l cumpăr pentru că cu ăsta voi lucra pentru doctorat (printre altele).
Deci cca 12-15(+) fotografii pentru fiecare subiect, salvat efectiv jpg din raw trecute prin Zerene Stacker si editare minimă (curățat de eventuale murdării, levels, resize, sharp…)
Câteva rezultate (voi posta fotografia resize la 1000 px linia mare și un crop de pe original [100% fără sharp]… tot cu 1000 px).
Acmaeodera (Acmaeotethya) ottomana (Frivaldsky,1840)
Anthaxia (Cratomerus) sponsa Kiesenwetter, 1857
Temnoscheila caerulea (Olivier, 1790)
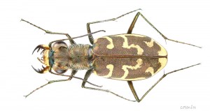
Cylindera (Eugrapha) trisignata (Dejean in Latreille & Dejean, 1822)
Sunt foarte sigur că se poate și mai bine dar eu sunt foarte mulțumit de aceste prime teste.

















September 11th, 2010 at 9:02 pm
Finally!!!!!!!!!
Rezultate dom’le, rezultate…
Foarte faine imaginile, mai ales ca eu stiu setup-ul…Dar daca ii punem fundita rosie…se vinde 😀
Setup-ul ar merge pe unul din acele bloguri cu improvizatii homemade si ieftine…
Brava!
September 11th, 2010 at 10:57 pm
Îmi place ce ai facut aici, merita tot efortul.
Felicitări şi succes la proiect!
September 15th, 2010 at 10:42 pm
@ Gabriela
rezultate, rezultate … apai incerc dar mai greu fara scule 😛
@ Brosu
Multumesc (de aprecieri, vizita, comentariu…)
September 22nd, 2010 at 7:19 am
Salut Cosmin,
teoretic, cunosc si eu tehnica folosita de tine…insa nu imi dau seama cu faci ganganiile sa stea atata timp nemiscate?!
Felicitari pentru fotografii si blog.
September 24th, 2010 at 8:45 am
@ Victor Minghir,
secretu la astea este ca …. sunt moarte 🙂
multumesc mult de vizita/aprecieri/comentariu si va mai astept.